Terremoto in Giappone: forte scossa M 6.2
La terra ha tremato ancora, e in modo deciso, nel cuore del Sol Levante. È successo tutto nella mattinata di...
La terra ha tremato ancora, e in modo deciso, nel cuore del Sol Levante. È successo tutto nella mattinata di...
Un arrivo inatteso, quasi impertinente Capita raramente, ma ogni tanto il Sistema solare riceve visite che nessuno aveva messo in...
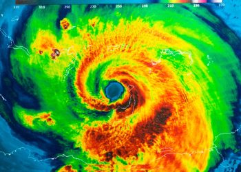
Immagine a scopo editoriale. La stagione degli uragani sull’Atlantico alza ancora l’asticella. Melissa si è rafforzata rapidamente fino a categoria...
Partire alla scoperta di Dubai nel mese di novembre significa scegliere una finestra ideale: le temperature diventano più miti,...
L’Autunno è la stagione che più di ogni altra rappresenta la transizione, un periodo capace di improvvisi e profondi...
Il vento del temporale, ovvero un downburst, si è abbattuto due giorni fa nella provincia di Pavia, a seguito di...
Il numero di notti tropicali – quelle in cui la temperatura minima resta sopra i 20°C – è esploso in...
meteo napoli Napoli si prepara a vivere giornate di caldo intenso e persistente, con temperature massime fino a 36°C e...
Questo è un punto cruciale e spesso sottovalutato nell’attuale lettura dei cambiamenti climatici: l’anomalia termica delle acque marine alle medie...
Il meteo dei prossimi giorni ci racconta una storia in continua evoluzione, fatta di sbalzi improvvisi, temporali fragorosi e ritorni...
Quando Alessandro Arena parla di meteorologia, sa sempre come catturare l'attenzione, e questa volta le sue considerazioni sull'ipotesi di peggioramento...
L’estate 2025 ha iniziato la sua corsa con un’accelerazione inquietante, imponendo condizioni atmosferiche che un tempo erano appannaggio esclusivo di...
La Groenlandia, terra remota e apparentemente immutabile, si sta rivelando uno dei luoghi più cruciali del pianeta per comprendere il...
Sbarcare a Palma di Maiorca è come varcare la soglia di un mondo che sa di sole, vento e sale....
Quando ho deciso di trasferirmi a Rio de Janeiro, non immaginavo che ogni giorno avrei vissuto come dentro un quadro...
Ci sono città che ti entrano nel cuore con discrezione, senza clamori. Ti abbracciano piano, con piccoli gesti, con la...
È difficile spiegare a parole quella sensazione profonda che ti coglie quando decidi di stravolgere tutto, quando ti affacci al...
Mi trovo con una valigia aperta e la mente già lontana. Sto per trasferirmi a Lima, la capitale del Perù,...
Da quando ho deciso di trasferirmi ad Auckland, sento come se una nuova pagina della mia vita si stesse scrivendo...
Non appena sono atterrato ad Hanoi, ho percepito qualcosa di diverso. Era come entrare in un romanzo scritto da un...
Quando ho deciso di trasferirmi a BUSAN, nel sud della COREA DEL SUD, avevo un misto di emozione e timore....
Atterrare a MANILA, la capitale pulsante delle FILIPPINE, è stato come entrare in un romanzo scritto dal sole e dal...
Non è stato un passo improvvisato, ma il giorno in cui ho deciso di trasferirmi a KUALA LUMPUR ho sentito...
Mi preparo a cambiare vita. Mi trasferisco a Hong Kong, e mentre scrivo queste parole, il cuore accelera i suoi...
Quando ho deciso di trasferirmi a Minorca, il cuore ha iniziato a battermi più forte, come se sapesse già che...
Innovazione Scienza S.r.l. unipersonale P.IVA/C.F. 10463560960- Milano (MI)
Credit immagini: le immagini utilizzate su questo sito sono con licenza e copyright di Adobe Stock, Canva, Shutterstock, Dreamstime e Freepik.